If you’ve ever thought about trying scuba diving but felt unsure about jumping into the deep end, this experience in Sithonia might be just what you need. Designed for those with little to no prior experience, it offers a safe, fun, and informative introduction to the underwater world of Greece’s stunning Halkidiki region.
What we love most is how accessible and personalized the tour feels, thanks to small group sizes and professional guides. The inclusion of underwater photos and a certificate of participation adds a memorable touch. However, keep in mind that this is a short introduction—if you’re craving a longer or more intensive program, you might want to look elsewhere.
This adventure is perfect for families, couples, or curious travelers who want a taste of scuba diving without committing to a full certification. It’s also ideal for those who appreciate a relaxed pace and expert instruction in a beautiful setting.
- Good To Know
- An Introduction to the Experience
- The Itinerary in Detail
- Pickup and Safety Briefing
- Elia Beach: The Dive Spot
- Underwater Photos and Videos
- Drop-Off and Return
- The Value and Why It Works
- Real-World Feedback from Guests
- Who Should Consider This Tour?
- Practical Details and Tips
- Frequently Asked Questions
- More Tour Reviews in Nikiti
- Not for you? Here's more nearby things to do in Nikiti we have reviewed
Good To Know

- Beginner-Friendly: No prior experience needed, suitable for ages 10 and up.
- Professional Guides: Instructors like John, praised for their calmness and clarity, ensure you feel safe and confident.
- Vibrant Underwater Scene: Expect to see starfish, sea anemones, octopuses, and colorful fish at a maximum depth of 12 meters.
- Small Groups: Limited to 6 participants, allowing for personalized attention and a relaxed atmosphere.
- All-Inclusive: Includes a theory lesson, underwater photos, small videos, dive insurance, and equipment.
- Flexible Scheduling: Available daily at 9:00 and 15:00 with optional pickup service.
An Introduction to the Experience

We’re often asked if beginner scuba experiences are worth it, and based on the feedback from travelers who’ve tried this tour, the answer is a confident yes. The folks at Diversity Diving Center in Sithonia have crafted a program that balances safety, fun, and education perfectly—making it an ideal choice for first-timers.
The experience kicks off with a quick but engaging safety briefing and theory session, usually lasting around 20 minutes. This part is especially important for those new to diving, as it covers essential skills and safety procedures in a friendly, easy-to-understand manner. We loved how the instructors, like John, made sure everyone felt comfortable before heading into the water. As Klaudia put it, “John is very calm and passionate with explaining everything,” which really helps ease any nerves.
Once everyone’s on the same page, you’ll practice basic skills in shallow water—think of it as a warm-up before your underwater adventure. The small group setup (max 2 students per instructor) means you’ll get plenty of personalized attention, which reviewers highlight as a major plus. Linda complimented the “clear instructions” and “very friendly guys,” emphasizing how much that personal touch helps beginners feel safe.
You can also read our reviews of more tours and experiences in Nikiti.
The Itinerary in Detail

Pickup and Safety Briefing
Your day starts with a pickup from one of five convenient locations—Agios Nikolaos, Nikiti, Neos Marmaras, Ormos Panagias, or Metamorfosi. The transportation is timed carefully to ensure smooth transitions, and after arriving at the center, you’ll receive a 20-minute safety briefing. This part is crucial, as it covers everything from basic breathing techniques to hand signals and what to expect during your underwater exploration.
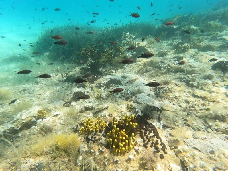
Elia Beach: The Dive Spot
The actual diving segment is approximately 45 minutes long, with a maximum depth of 12 meters. Don’t expect a long underwater marathon—this is a gentle, manageable experience aimed at first-timers. You’ll explore a calm, pristine reef teeming with vibrant marine life. Reviewers have mentioned starfish, sea anemones, and even octopuses as part of what makes this underwater scene so captivating.
What stood out to us is how the tour guides focus on ensuring everyone is comfortable and confident. One reviewer, Cosmin, shared that thanks to clear explanations and expert guidance, he and his partner felt completely safe and enjoyed the experience so much that they’re planning to do more scuba in the future.
More Great Tours NearbyUnderwater Photos and Videos
A big bonus is the inclusion of underwater photos and small videos. You’ll get to keep these as souvenirs, which are especially valuable for those who want to share their first water adventure with friends and family. Reviewers like Klaudia appreciated how these add a special touch to the experience, capturing moments you might not even realize you’re having underwater.
Drop-Off and Return
After the dive, the tour includes a smooth and relaxed return to the pickup point, with some offering the option for drop-offs at multiple locations. The entire experience lasts around 3 hours, making it a perfect half-day activity that doesn’t eat into your holiday plans.
The Value and Why It Works

While the price of this tour might seem modest, the value it offers is substantial. You receive a comprehensive introduction to scuba diving, professional instruction, all necessary equipment, insurance, and memorable photos—all in a stunning setting. The small group size ensures personal attention, which can significantly boost your confidence and enjoyment.
The fact that this experience counts toward a full PADI certification adds an extra layer of value, making it a logical first step if you’re considering a deeper dive journey later on. For many, the clear and calm waters of Sithonia make for a perfect practice ground, especially with the knowledgeable guidance they get here.
Real-World Feedback from Guests

Reviewers consistently praise the professionalism of the guides, highlighting individuals like John for their calmness and ability to simplify complex procedures. Cosmin mentioned that neither he nor his girlfriend had tried scuba before, but thanks to the guidance, they felt completely at ease and eager to dive again. Klaudia appreciated the “amazing experience” and the instructor’s passion, which made her feel well taken care of.
Linda sums it up as “very friendly guys” who provided clear instructions, emphasizing how that friendly approach makes all the difference for beginners. These insights suggest that the team’s focus on safety, patience, and fun creates a welcoming environment for those new to underwater adventures.
Who Should Consider This Tour?

This program is best suited for first-time divers, families with children over 10, and anyone curious about exploring underwater life without a long-term commitment. It’s perfect if you want a brief, safe, and visually stunning introduction to scuba diving in Greece’s beautiful waters.
However, it’s not recommended for pregnant women, people with heart problems or epilepsy, or those with recent surgeries. Also, if you’re planning to do more diving later, this experience can be a good starting point—potentially leading to full certification.
Practical Details and Tips

- Duration: About 3 hours, with starting times at 9:00 and 15:00.
- What to Bring: Swimsuit and towel.
- Included: Theory lesson, equipment, 45-minute dive, underwater photos/videos, insurance, and a participation certificate.
- Not Included: Food, so consider bringing snacks if needed.
- Pickup: Available from selected locations, arranged upon booking.
- Age Limit: Min 10 years old.
- Language: Guides speak English, Greek, and Arabic.
- Cancellation Policy: Free cancellation if you notify 24 hours in advance, lending flexibility to your plans.
Frequently Asked Questions

Can I participate if I’ve never tried scuba diving before?
Absolutely. No experience is necessary. This tour is specifically designed for beginners, with thorough instruction and supervision.
What is the maximum depth of the dive?
The dive goes down to 12 meters, which is ideal for beginners and offers a good balance of safety and underwater exploration.
Will I receive any certification after the experience?
You get a certificate of participation, and the experience counts toward a full PADI certification if you wish to pursue it later.
Is the tour suitable for children?
Yes, children aged 10 and above can join, provided they meet the age requirement and are comfortable in water.
What should I wear?
Just bring your swimsuit and towel. Wetsuits and all diving gear are provided.
How many people will be in my group?
The group is limited to 6 participants, which helps ensure personalized guidance and a relaxed atmosphere.
Is transportation included?
Yes, pickup from designated locations is available, but you need to arrange this when booking.
What if I feel nervous or unsure during the dive?
Your instructor will guide you step-by-step, and since the group is small, they can focus on your comfort. If you need to surface early, that’s always an option.
Can I do this if I have health concerns?
Certain conditions like pregnancy, heart problems, epilepsy, or recent surgeries may make this activity unsuitable. Always consult your doctor first.
Can I do this experience more than once?
Of course! Many guests find it fun and want to try again or continue with full certification.
The Sithonia Scuba Diving Experience for Beginners offers a fantastic introduction to underwater exploration in Greece. With professional guides, a friendly environment, and vibrant marine life, it’s a memorable way to dip your toes—or fins—into scuba. The small group sizes and included photos make it feel exclusive and special, perfect for first-timers and those seeking a safe, fun adventure.
If you’re after a quick, authentic taste of scuba diving in a beautiful setting, this tour provides excellent value. It’s especially suited for travelers who want to discover underwater life without a long-term commitment, and who appreciate friendly, knowledgeable instruction.
In short, this experience is a smart choice for anyone curious about the underwater world in Sithonia—offering a safe, enjoyable, and visually stunning start to your diving journey.
You can check availability for your dates here: More Great Tours Nearby



