If you’re a certified diver seeking a relaxed, authentic underwater experience in Greece, the Sithonia Guided Shore Dive offered by Diversity Diving Center is worth considering. While I haven’t personally participated, the detailed reviews and itinerary paint a picture of an engaging, hassle-free adventure perfect for those craving stunning marine scenery without the hustle of boat trips.
What we love about this experience is its small group size, which ensures personalized attention, the all-inclusive gear that takes the stress out of packing, and the vibrant underwater scenery that promises colorful fish and rock formations. A potential consideration is that it’s limited to certified divers, so beginners or non-certified enthusiasts might need to look elsewhere. This experience suits divers with some experience looking for a laid-back yet memorable underwater outing.
- Good To Know
- An In-Depth Look at the Experience
- What the Tour Offers
- Why Shore Diving in Halkidikis Works
- The Itinerary Breakdown
- Marine Life and Underwater Environment
- Guides and Safety
- Additional Benefits
- Cost and Value
- Who This Tour Is Best For
- Final Thoughts
- FAQ
- More Tour Reviews in Nikiti
- Not for you? Here's more nearby things to do in Nikiti we have reviewed
Good To Know

- All gear included makes this dive convenient and hassle-free.
- Small group size (limited to 6 participants) offers personalized instruction and space.
- Vibrant marine life includes colorful fish, sea sponges, and curious octopuses.
- Flexible timings daily at 09:00, 12:30, and 16:00 for easy planning.
- Complimentary pickup and drop-off add to the convenience—just ask the day before.
- Expert guidance from English and Greek-speaking PADI instructors ensures safety and fun.
An In-Depth Look at the Experience

You can also read our reviews of more tours and experiences in Nikiti.
What the Tour Offers
This half-day shore dive is designed for certified divers wanting to enjoy the Halkidikis coast with minimal fuss. The price of $70 per person strikes a reasonable balance, especially considering that all necessary equipment, tanks, air fills, and professional supervision are included. You’ll also receive underwater photos and small videos, a nice touch for capturing memories without the need to bring your own camera underwater.
Why Shore Diving in Halkidikis Works
Unlike boat-based dives, this experience is all about simplicity and comfort. After a quick gear check and a concise safety briefing, you head straight into the water—no boats, no long transfers, just pure underwater fun. The choice of dive site is based on its crystal-clear waters and lively marine life, making it ideal for visible, photogenic subjects like fish and octopuses, along with fascinating rock formations.
The Itinerary Breakdown
The tour kicks off with pickup options from nine different locations, including popular spots like Metamorfosi, Nikiti, and Sarti. This flexibility means you won’t have to travel far to join the experience. The safety briefing, lasting about 15 minutes, covers essential information, preparing you for the dive.
Once all safety and dive planning are done, you’ll head to the designated dive site, often regarded as a “hidden gem” by the providers. The actual scuba diving lasts approximately one hour, giving ample time to explore the underwater scenery at a comfortable pace.
After the dive, there is a straightforward return to your starting point or drop-off location, closing a relaxed, well-organized half-day adventure. The small group size (limited to 6 participants) ensures you get plenty of individual attention, which is especially appreciated by those new to shore diving or wanting a more personalized experience.
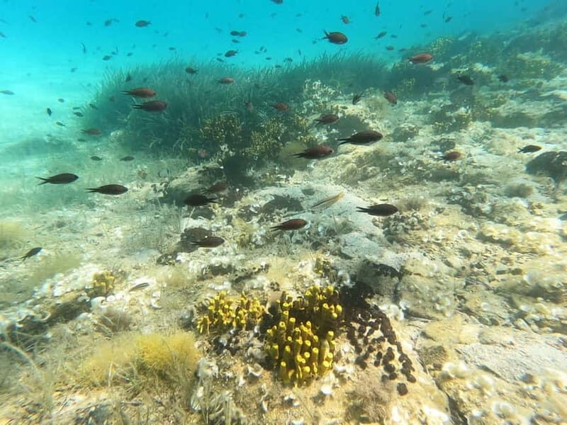
More Great Tours NearbyMarine Life and Underwater Environment
You can expect to encounter colorful fish, sea sponges, and possibly some curious octopuses during your dive. The dive site is praised for its stunning rock formations and clear waters, providing a variety of visual interest. The dive site has been carefully selected for its marine diversity and visibility, promising an engaging underwater environment.
Guides and Safety
The PADI-certified instructors are described as incredibly friendly and patient. Reviewers highlighted their helpfulness and thorough explanations, especially for first-time divers. One reviewer mentioned, “They explained everything perfectly,” emphasizing the quality of guidance and safety supervision. The instructors’ bilingual abilities in English and Greek are beneficial for international guests.
Additional Benefits
The tour provides water and light refreshments, making sure you stay hydrated after your underwater adventure. The option for pickup and drop-off—free upon request—is a significant perk, especially if you’re staying in Sithonia. Travelers have found this service to be smooth and convenient.
Cost and Value
At $70 per person, this experience offers good value considering the inclusions—gear, professional supervision, and underwater photos. For those wanting a hassle-free dive with personal attention, it’s a fair price. The fact that the dive is shore-based also helps keep costs down while maintaining a high-quality experience.
Who This Tour Is Best For

This dive is perfect for certified divers looking for a relaxed, scenic, and personalized underwater experience in Halkidikis. Its small group setting makes it especially suitable for those who prefer individualized attention and a quieter atmosphere. It’s an excellent choice for divers who want convenience, beautiful underwater scenery, and friendly guides without the complications of boat-based dives.
Plus, travelers wanting to combine a scenic coastal visit with underwater exploration will find this a fantastic half-day activity. It’s ideal if you’re staying in Sithonia or nearby and prefer a stress-free, guided experience that doesn’t require long boat rides or complicated logistics.
Final Thoughts

This guided shore dive in Sithonia offers an excellent blend of simplicity, safety, and stunning marine life. The inclusion of all equipment, expert instruction, and small group sizes ensures that even those less experienced or nervous about diving can enjoy the underwater world confidently. The fact that it’s tailored for certified divers means you’ll have enough time and space to appreciate the underwater environment at your own pace.
The professional, friendly guides and beautiful dive site make this a memorable experience, especially for those who value personalized attention. It’s a highly practical choice for travelers who want to maximize their underwater time without the hassle of boat trips or complicated logistics.
If you’re in Sithonia and looking for a stress-free diving adventure that offers plenty of underwater beauty and expert support, this tour should definitely be on your list.
FAQ

Do I need to bring my own diving gear?
No, all necessary scuba equipment is provided, so you just need to bring your swimsuit, towel, and a sense of adventure.
Can I join if I haven’t dived in a while?
This tour is designed for certified divers, so you should have current certification. It’s ideal for those with some previous diving experience.
What is the duration of the dive?
The actual underwater part lasts about one hour, with the whole experience including briefing and transfers lasting around three hours.
Are there pickup options?
Yes, free pickup and drop-off are available if you request it the day before, from nine designated locations around Sithonia.
What times are the dives offered?
Dives run daily at 09:00, 12:30, and 16:00, allowing flexibility to fit your schedule.
Is it suitable for children?
No, this experience is not suitable for children under 10, pregnant women, or those with recent surgeries.
Are there any restrictions on alcohol or drugs?
Yes, alcohol and drugs are not allowed, as they could impair safety during diving.
Can I participate if I am pregnant?
No, pregnant women are advised not to participate for safety reasons.
What languages are the guides available in?
Guides speak English and Greek, providing clear instructions and support.
Is there an option to buy underwater photos?
Yes, underwater photos and small videos are included, so you can relive the experience afterward.
To sum it up, this shore dive offers a wonderfully relaxed yet engaging way to explore the marine richness of Halkidikis. Whether you’re a seasoned diver or just looking for a safe and scenic underwater adventure, it’s a well-organized, value-packed option that highlights the best of Sithonia’s coastline.
You can check availability for your dates here: More Great Tours Nearby




